
- Podnikanie v historickom centre
- Hlavná, Košice-Staré Mesto,
Interné ID: | Orange |
---|---|
Ulica: | Hlavná |
Mestská časť: | Historické centrum |
Obec: | Košice-Staré Mesto |
Okres: | Košice I |
Kraj: | Košický kraj |
Druh: | Objekty |
Typ: | Prenájom |
Typ objektu: | Obchodné priestory |
Iné: |
Páči sa Vám naše Staré Mesto? Chcete podnikať priamo na Hlavnej ulici v Košiciach?
Máme pre Vás novozrekonštruované priestory na 2. poschodí bytového domu s výhľadom priamo na Hlavnú ulicu.
Dom je starobylý - chránená kultúrna pamiatka, na poschodie sa dostanete kamenným schodiskom bez výťahu.
Podchod bytového domu spája Hlavnú ulicu s Bočnou, je živý, takmer plne obsadený nájomníkmi poskytujúcimi rôznorodé služby.
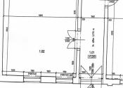
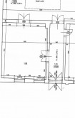
Ponúkaná miestnosť o rozlohe 38,70 m2 má tvar pravidelného obdĺžnika. Je vhodná tak na administratívnu činnosť, ako aj na podnikanie vyžadujúce kontakt s klientom či zákazníkom.
Podlahy sú pokryté parketami.
Kúrenie je spoločné - ústredné; okná sú udržiavané - pôvodné drevené; rovnako aj mohutné drevené dvere, ktoré oddeľujú túto miestnosť od susednej.
Vchod je zo spoločnej chodby so svetlíkom poskytujúcim denné svetlo; rozloha chodby: 33,40 m2.
Táto miestnosť môže slúžiť ako "čakačka" či "recepcia". Nájom za tento priestor je rozrátaný na 1/2 so susedným.
Na toaletu sa vstupuje z pavlače, resp. existuje alternatívne riešenie.
Celková plocha priestoru so zázemím a soc. zariadeniami je 68,02 m2.
V prípade, že potrebujete váčší priestor, tento je možné prepojiť so susedným (29,40 m2) - stačí len spriechodniť dvere oddeľujúce tieto 2 priestory.
Vo dvore nájdete viacero parkovacích miest, k dispozcii podľa aktuálnej obsadenosti.
K dispozícii: I H N E Ď.
Cena mesačného nájmu: 670 Eur s DPH (8,00 Eur/m2 bez DPH).
+ energie: podľa účelu využitia prevádzky, podľa vlastného zváženia alebo môže byť predmetom konzultácie s prenajímateľom.
V prípade záujmu ma neváhajte kontaktovať, rada Vám poskytnem všetky potrebné informácie.
Zodpovedný certifikovaný maklér: Mgr. Beáta VUKUSIC, RSc.; +421 905 55 00 21; beavukusic@gmail.com.
Spoločnosť "bea vukusic, s.r.o." - na jednom mieste (Hlavná 18/1) nájdete:
- realitnú činnosť - predaj & prenájom nehnuteľností, zviditeľnenie Vašej nehnuteľnosti na najsledovanejších portáloch a sieťach
- finančné poradenstvo - radi Vás odborne prevedieme procesom financovania Vašej nehnuteľnosti - máme dlhoročné skúsenosti v tejto oblasti
- zabezpečíme akékoľvek poistenie
- vinkulácie
- právne poradenstvo prostredníctvom advokátskej kancelárie - autorizované zmluvy
Upozornenie: Popis nehnuteľnosti - text a fotodokumentácia sú majetkom a autorským dielom spoločnosti bea vukusic, s.r.o.
CEO